Шрифт:
Цвета:
Изображения:

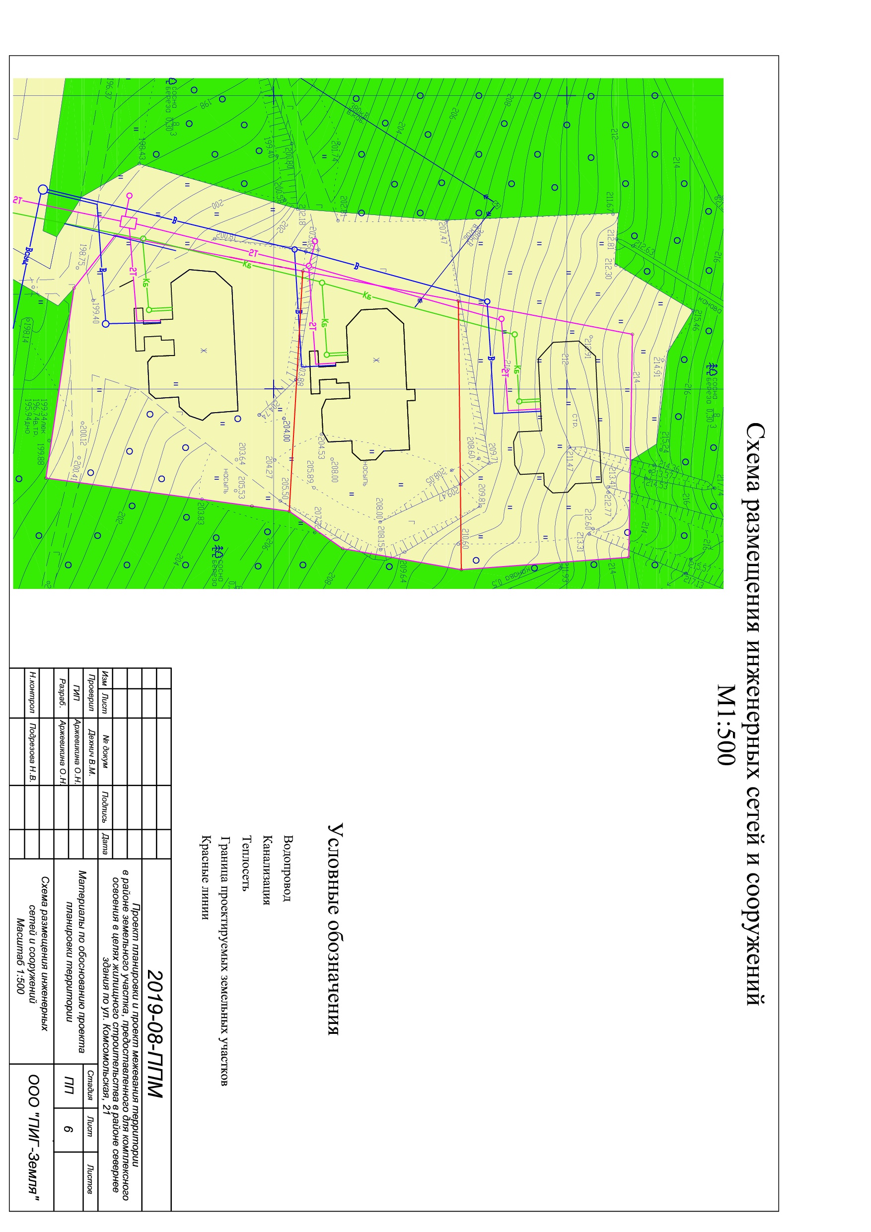
О назначении на 30.09.2019 публичных слушаний по проекту планировки и проекту межевания территории в районе здания по ул. Комсомольская, д.21

             Администрация ЗАТО г. Зеленогорска сообщает о назначении на 30.09.2019 на 14-30 часов в большом зале здания Администрации ЗАТО г. Зеленогорска по адресу: Красноярский край, г. Зеленогорск, ул. Мира, д. 15, каб.410 публичных слушаний по проекту планировки территории и проекту межевания территории в районе земельного участка, предоставленного для комплексного освоения в целях жилищного строительства в районе севернее здания по ул. Комсомольская, 21, разработанного Обществом с ограниченной ответственностью «Проектно-изыскательская группа – ЗЕМЛЯ».
            Организатор публичных слушаний - отдел архитектуры и градостроительства Администрации ЗАТО г. Зеленогорска.
            Участниками публичных слушаний, указанных в пункте 1 настоящего постановления, являются граждане, проживающие на территории в районе здания по ул. Комсомольская, 21 в многоквартирных домах по адресам: ул. Александрова, дома 1, 2, 3, 4, 5, 6, 7, ул. Шубина, дома 1, 2, 3, 4, 5, 6, правообладатели земельных участков и объектов капитального строительства, расположенных на территории в районе здания по ул. Комсомольская, 21, а также лица, чьи законные интересы могут быть нарушены в связи с реализацией проекта планировки и проекта межевания  территории в районе земельного участка, предоставленного для комплексного освоения в целях жилищного строительства в районе севернее здания по ул. Комсомольская, 21.
            Регистрация участников публичных слушаний производится 30.05.2019 с 14-00 до 14-30 часов.Участники публичных слушаний с 28.08.2019 по 30.09.2019 вправе направить свои предложения и замечания по предмету публичных слушаний в письменной форме по адресу: Красноярский край, г. Зеленогорск, ул. Мира, д.15, каб. 205.