О назначении на 30.09.2019 публичных слушаний по проекту планировки и проекту межевания территории в районе здания по ул. Комсомольская, д.21

             Администрация ЗАТО г. Зеленогорска сообщает о назначении на 30.09.2019 на 14-30 часов в большом зале здания Администрации ЗАТО г. Зеленогорска по адресу: Красноярский край, г. Зеленогорск, ул. Мира, д. 15, каб.410 публичных слушаний по проекту планировки территории и проекту межевания территории в районе земельного участка, предоставленного для комплексного освоения в целях жилищного строительства в районе севернее здания по ул. Комсомольская, 21, разработанного Обществом с ограниченной ответственностью «Проектно-изыскательская группа – ЗЕМЛЯ».
            Организатор публичных слушаний - отдел архитектуры и градостроительства Администрации ЗАТО г. Зеленогорска.
            Участниками публичных слушаний, указанных в пункте 1 настоящего постановления, являются граждане, проживающие на территории в районе здания по ул. Комсомольская, 21 в многоквартирных домах по адресам: ул. Александрова, дома 1, 2, 3, 4, 5, 6, 7, ул. Шубина, дома 1, 2, 3, 4, 5, 6, правообладатели земельных участков и объектов капитального строительства, расположенных на территории в районе здания по ул. Комсомольская, 21, а также лица, чьи законные интересы могут быть нарушены в связи с реализацией проекта планировки и проекта межевания  территории в районе земельного участка, предоставленного для комплексного освоения в целях жилищного строительства в районе севернее здания по ул. Комсомольская, 21.
            Регистрация участников публичных слушаний производится 30.05.2019 с 14-00 до 14-30 часов.Участники публичных слушаний с 28.08.2019 по 30.09.2019 вправе направить свои предложения и замечания по предмету публичных слушаний в письменной форме по адресу: Красноярский край, г. Зеленогорск, ул. Мира, д.15, каб. 205.

Постановление Главы ЗАТО г. Зеленогорска от 22.08.2019 № 30-пг "О назначении публичных слушаний по проекту планировки территории и проекту межевания территории в районе земельного участка, предоставленного для комплексного освоения в целях жилищного строительства в районе севернее здания по ул. Комсомольская, 21" (.pdf, 5 580 Кб.) Скачать
1. Проект планировки. Основная часть (.doc, 201 Кб.) Скачать
1.1. Чертеж планировки территории (.jpg, 1 034 Кб.) Скачать
1.2. Разбивочный чертеж красных линий (.jpg, 1 031 Кб.) Скачать
2. Проект планировки (обоснование) (.doc, 553 Кб.) Скачать
2.1. Схема размещения элемента планировочной структуры (.jpg, 714 Кб.) Скачать
2.2. Схема использования территории в период подготовки (.jpg, 915 Кб.) Скачать
2.3. Схема организации дорожного движения (.jpg, 942 Кб.) Скачать
2.4. Схема зон с особыми условиями использования территории (.jpg, 1 076 Кб.) Скачать
2.5. Схема планировочной организации земельного участка (.jpg, 858 Кб.) Скачать
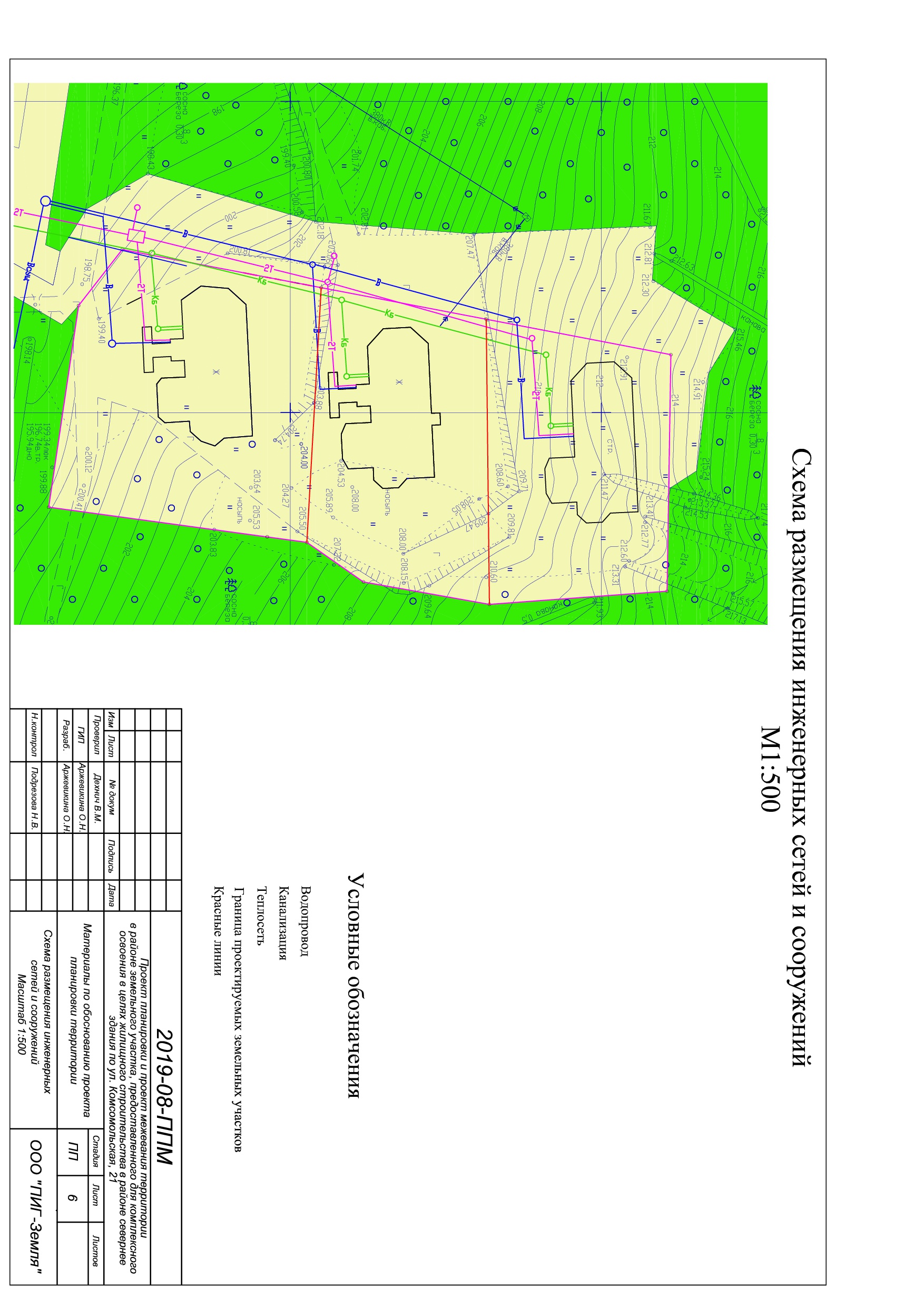
2.6. Схема размещения инженерных сетей (.jpg, 867 Кб.) Скачать
2.7. Схема вертикальной подготовки (.jpg, 916 Кб.) Скачать
2.7. Схема вертикальной подготовки (.jpg, 916 Кб.) Скачать
3. Проект межевания территории (.doc, 201 Кб.) Скачать
3.1. Чертеж межевания территории (.jpg, 864 Кб.) Скачать
2.5. Схема планировочной организации земельного участка (.jpg, 858 Кб.) Скачать