Шрифт:
Т
Т
Т
Цвета:
Ч
Б
Изображения:
Ц
С
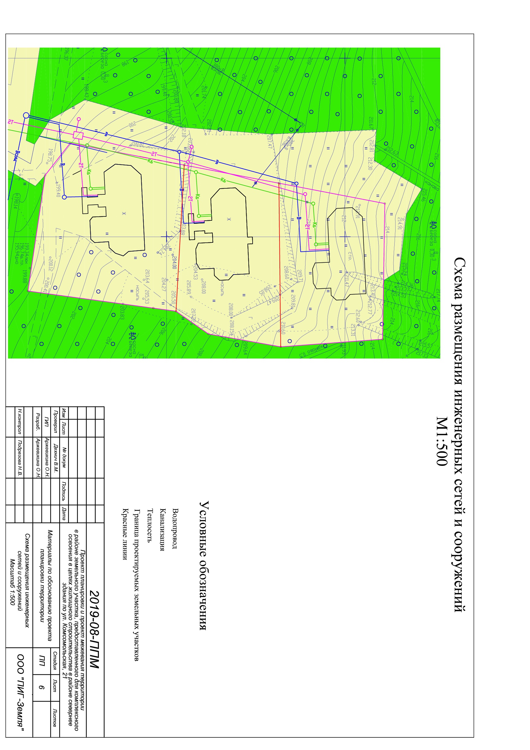
Проект планировки территории и проект межевания территории в районе земельного участка, предоставленного для комплексного освоения в целях жилищного строительства в районе севернее здания по ул. Комсомольская, 21
Архитектура и градостроительство Решения о согласовании архитектурно-градостроительного облика объектов капитального строительства Нормативные правовые акты по вопросам архитектуры и градостроительства Местные нормативы градостроительного проектирования Публичные слушания и общественные обсуждения Благоустройство Размещение нестационарных торговых объектов Земельные участки, предназначенные для жилищного строительства Аттракционы, передвижные аттракционы, передвижные зоопарки, передвижные цирки, сезонные кафе Размещение рекламных конструкций Проекты планировки и межевания территорий Проект планировки территории и проект межевания территории микрорайона № 21 Проект межевания территории, применительно к территории, расположенной в границах функциональной зоны «Больничный городок» Проект планировки территории и проект межевания территории, ограниченной улицами Шолохова, Чапаева, Панфилова и земельным участком, имеющим кадастровый номер 24:59:0406003:1 (Квартал № 2 пос. Орловка) Проект планировки территории и проект межевания территории, ограниченной улицами Звездная, Центральная, Солнечная и Спортивная (Квартал № 8 пос. индивидуальных застройщиков на 1000 дворов) Проект планировки территории и проект межевания территории, ограниченной улицами Шолохова, Чапаева, Панфилова, включая территорию многоквартирных домов по ул. Чапаева, д. 13 и ул. Шолохова, д. 4, д. 6, д. 16 (Квартал № 1 пос. Орловка) Проект планировки территории и проект межевания территории, ограниченной улицами Удачная, Монтажников (Квартал № 8А пос. Октябрьский) Проект планировки территории и проект межевания территории, ограниченной улицами Первостроителей, Удачная, Монтажников (Квартал № 8 пос. Октябрьский) Проект планировки территории и проект межевания территории, ограниченной улицами Диктатуры Пролетариата, Полевая, Юбилейная и переулком Малый (Квартал № 5А пос. Октябрьский) Проект планировки территории и проект межевания территории, ограниченной улицами Диктатуры Пролетариата, Советской Армии, Юбилейная, Полевая (Квартал № 5 пос. Октябрьский) Проект планировки территории и проект межевания территории, ограниченной улицами Диктатуры Пролетариата, Советской Армии, Юбилейная, 8 Марта (Квартал № 4 пос. Октябрьский) Проект планировки территории и проект межевания территории, ограниченный улицами Диктатуры Пролетариата, Л.Толстого, Гоголя, Полевая (квартал № 3 пос. Октябрьский) Проект планировки территории и проект межевания территории, ограниченной улицами Диктатуры Пролетариата, Советской Армии, Л.Толстого, Гоголя (квартал № 2 пос. Октябрьский) Проект планировки территории и проект межевания территории, ограниченной улицами Диктатуры Пролетариата, Советской Армии, 8 Марта, Гоголя (квартал № 1 пос. Октябрьский) Проект планировки территории и проект межевания территории микрорайона № 23 Проект планировки территории и проект межевания территории микрорайона № 27 (1 и 2 очереди) Проект планировки территории и проект межевания территории микрорайона № 20 Проект планировки территории и проект межевания территории части квартала № 33 Проект планировки территории и проект межевания территории квартала № 14-15 Проект планировки территории и проект межевания территории части квартала № 13 Проект планировки территории и проект межевания территории части квартала № 12 Проект планировки территории и проект межевания территории квартала № 8 Проект планировки территории и проект межевания территории квартала № 4 Проект планировки территории и проект межевания территории квартала № 3 Проект планировки и проект межевания части территории 7 квартала пос. Октябрьский в районе ул. Юбилейная Проект планировки и проект межевания части территории 7 квартала поселка индивидуальных застройщиков на 1000 дворов Проект планировки территории и проект межевания территории в районе земельного участка, предоставленного для комплексного освоения в целях жилищного строительства в районе севернее здания по ул. Комсомольская, 21 Проект планировки территории и проект межевания территории кварталов № 9 и № 12 поселка индивидуальных застройщиков на 1000 дворов, ограниченной улицами Западная, Центральная, Звездная и Спортивная Проект планировки территории и проект межевания территории квартала № 9 поселка Октябрьский, ограниченной улицами Юбилейная, Удачная, Первостроителей, Монтажников Проект планировки территории и проект межевания территории микрорайона № 27 (3 очередь) города Зеленогорска Проект планировки территории и межевания территории микрорайона № 18 города Зеленогорска Проект планировки территории и межевания территории квартала №1-17 города Зеленогорска Проект планировки и проект межевания территории квартала № 2 города Зеленогорска Проект планировки и проект межевания территории микрорайона № 22 Проект планировки и проект межевания территории микрорайона № 19 Правила землепользования и застройки Генеральный план Открытые данные