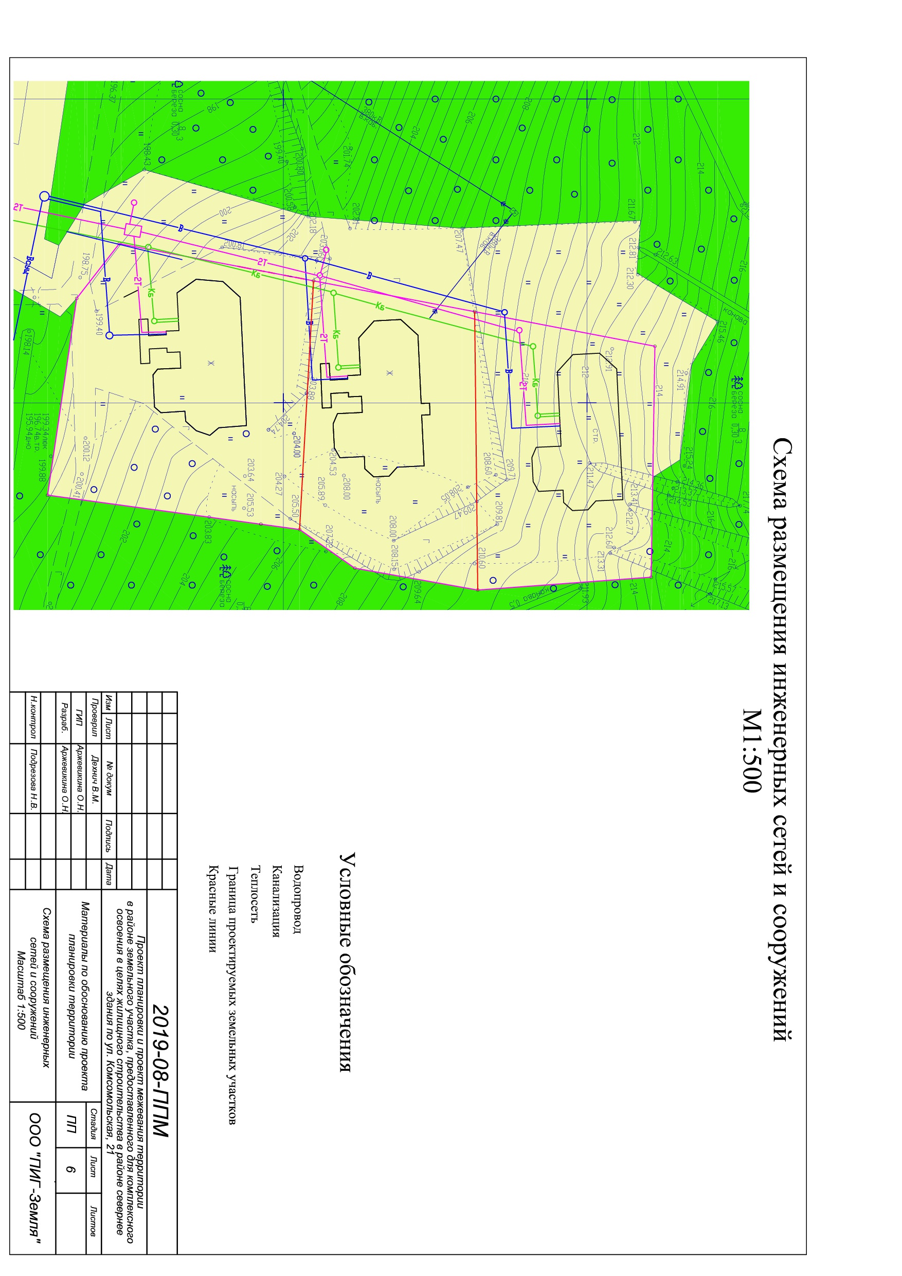
Постановление Главы ЗАТО г. Зеленогорска от 22.08.2019 № 30-пг О назначении публичных слушаний по проекту планировки и проекту межевания территории в районе земельного участка, предоставленного для комплексного освоения в целях жилищного строительства в районе севернее здания по ул. Комсомольская, 21
Правовые акты Постановление Главы ЗАТО г. Зеленогорск от 18.03.2026 № 15-пг О назначении публичных слушаний по проекту решения Совета депутатов ЗАТО г. Зеленогорск «Об утверждении отчета об исполнении местного бюджета города Зеленогорска за 2025 год» Постановление Главы ЗАТО г. Зеленогорск от 13.11.2025 № 93-пг О назначении публичных слушаний по проекту решения Совета депутатов ЗАТО г. Зеленогорск «О внесении изменения в Устав города Зеленогорска Красноярского края» Постановление Главы ЗАТО г. Зеленогорск от 13.11.2025 № 85-пг О назначении публичных слушаний по проекту решения Совета депутатов ЗАТО г. Зеленогорск «О внесении изменений в решение Совета депутатов ЗАТО г. Зеленогорска от 24.12.2018 № 6-27р «Об утверждении Правил землепользования и застройки г. Зеленогорска» Постановление Главы ЗАТО г. Зеленогорск от 10.11.2025 № 84-пг О назначении публичных слушаний по проекту решения Совета депутатов ЗАТО г. Зеленогорск «О местном бюджете города Зеленогорска на 2026 год и плановый период 2027 – 2028 годов» Постановление Главы ЗАТО г. Зеленогорск от 06.10.2025 № 75-пг О внесении изменений в постановление Главы ЗАТО г. Зеленогорск от 19.09.2025 № 65-пг «О предоставлении управляющей компании ООО УК «ФЛАГМАН» субсидии на финансовое обеспечение затрат по проведению неотложных аварийно-восстановительных работ по ремонту кровель и фасадов многоквартирных домов, поврежденных в результате опасных метеорологических явлений (очень сильный ветер) и неблагоприятных метеорологических явлений (сильный ветер), произошедших 5 апреля 2025 года на территории города Зеленогорска Красноярского края» Постановление Главы ЗАТО г. Зеленогорск от 19.09.2025 № 66-пг О предоставлении управляющей компании ООО «ТРИО» субсидии на финансовое обеспечение затрат по проведению неотложных аварийно-восстановительных работ по ремонту кровель и фасадов многоквартирных домов, поврежденных в результате опасных метеорологических явлений (очень сильный ветер) и неблагоприятных метеорологических явлений (сильный ветер), произошедших 5 апреля 2025 года на территории города Зеленогорска Красноярского края Постановление Главы ЗАТО г. Зеленогорск от 19.09.2025 № 65-пг О предоставлении управляющей компании ООО УК «ФЛАГМАН» субсидии на финансовое обеспечение затрат по проведению неотложных аварийно-восстановительных работ по ремонту кровель и фасадов многоквартирных домов, поврежденных в результате опасных метеорологических явлений (очень сильный ветер) и неблагоприятных метеорологических явлений (сильный ветер), произошедших 5 апреля 2025 года на территории города Зеленогорска Красноярского края Постановление Главы ЗАТО г. Зеленогорск от 19.09.2025 № 64-пг О предоставлении управляющей компании ООО УК «Сириус Зеленогорск» субсидии на финансовое обеспечение затрат по проведению неотложных аварийно-восстановительных работ по ремонту кровель и фасадов многоквартирных домов, поврежденных в результате опасных метеорологических явлений (очень сильный ветер) и неблагоприятных метеорологических явлений (сильный ветер), произошедших 5 апреля 2025 года на территории города Зеленогорска Красноярского края Постановление Главы ЗАТО г. Зеленогорск от 19.09.2025 № 63-пг О предоставлении Товариществу собственников недвижимости «Бастион» субсидии на финансовое обеспечение затрат по проведению неотложных аварийно-восстановительных работ по ремонту кровель и фасадов многоквартирных домов, поврежденных в результате опасных метеорологических явлений (очень сильный ветер) и неблагоприятных метеорологических явлений (сильный ветер), произошедших 5 апреля 2025 года на территории города Зеленогорска Красноярского края Постановление Главы ЗАТО г. Зеленогорск от 19.09.2025 № 62-пг О предоставлении Товариществу собственников недвижимости «Молодежный» субсидии на финансовое обеспечение затрат по проведению неотложных аварийно-восстановительных работ по ремонту кровель и фасадов многоквартирных домов, поврежденных в результате опасных метеорологических явлений (очень сильный ветер) и неблагоприятных метеорологических явлений (сильный ветер), произошедших 5 апреля 2025 года на территории города Зеленогорска Красноярского края Постановление Главы ЗАТО г. Зеленогорск от 19.09.2025 № 61-пг О предоставлении Товариществу собственников жилья «КРЕПОСТЬ» субсидии на финансовое обеспечение затрат по проведению неотложных аварийно-восстановительных работ по ремонту кровель и фасадов многоквартирных домов, поврежденных в результате опасных метеорологических явлений (очень сильный ветер) и неблагоприятных метеорологических явлений (сильный ветер), произошедших 5 апреля 2025 года на территории города Зеленогорска Красноярского края Постановление Главы ЗАТО г. Зеленогорск от 19.09.2025 № 60-пг О предоставлении управляющей компании ООО УК «Новый подход» субсидии на финансовое обеспечение затрат по проведению неотложных аварийно-восстановительных работ по ремонту кровель и фасадов многоквартирных домов, поврежденных в результате опасных метеорологических явлений (очень сильный ветер) и неблагоприятных метеорологических явлений (сильный ветер), произошедших 5 апреля 2025 года на территории города Зеленогорска Красноярского края Постановление Главы ЗАТО г. Зеленогорск от 02.09.2025 № 53-пг О признании утратившим силу постановления Главы ЗАТО г. Зеленогорска от 13.10.2020 № 33-пг «Об утверждении Положения о порядке уведомления представителя нанимателя (работодателя) муниципальными служащими Администрации ЗАТО г. Зеленогорска о возникшем конфликте интересов или о возможности его возникновения» Постановление Главы ЗАТО г. Зеленогорск от 21.07.2025 № 47-пг О назначении публичных слушаний по проекту решения Совета депутатов ЗАТО г. Зеленогорск «О внесении изменений и дополнений в Устав города Зеленогорска Красноярского края» Постановление Главы ЗАТО г. Зеленогорск от 12.03.2025 № 13-пг О подготовке и проведении праздничных мероприятий, посвященных 80-летию атомной отрасли Постановление Главы ЗАТО г. Зеленогорск от 20.01.2025 № 2-пг О назначении публичных слушаний по проекту решения Совета депутатов ЗАТО г. Зеленогорск «Об утверждении Правил благоустройства территории города Зеленогорска» Постановление Главы ЗАТО г. Зеленогорск от 29.11.2024 № 85-пг О назначении публичных слушаний по проекту решения Совета депутатов ЗАТО г. Зеленогорск «О местном бюджете города Зеленогорска на 2025 год и плановый период 2026 – 2027 годов» Постановление Главы ЗАТО г. Зеленогорск от 18.11.2024 № 81-пг О назначении публичных слушаний по проекту решения Совета депутатов ЗАТО г. Зеленогорск «О местном бюджете города Зеленогорска на 2025 год и плановый период 2026 – 2027 годов» Постановление Главы ЗАТО г. Зеленогорск от 27.09.2024 № 64-пг Об утверждении Перечня должностей муниципальной службы в Администрации ЗАТО г. Зеленогорск, при замещении которых муниципальные служащие обязаны представлять сведения о своих доходах, об имуществе и обязательствах имущественного характера, а также сведения о доходах, об имуществе и обязательствах имущественного характера своих супруги (супруга) и несовершеннолетних детей Постановление Главы ЗАТО г. Зеленогорск от 10.09.2024 № 59-пг Об утверждении 4 членов Общественной палаты города Зеленогорска Постановление Главы ЗАТО г. Зеленогорск от 24.06.2024 № 41-пг О формировании нового состава Общественной палаты города Зеленогорска Постановление Главы ЗАТО г. Зеленогорск от 29.03.2024 № 23-пг О назначении публичных слушаний по проекту решения Совета депутатов ЗАТО г. Зеленогорск «Об утверждении отчета об исполнении местного бюджета города Зеленогорска за 2023 год» Распоряжение Главы ЗАТО г. Зеленогорска от 04.03.2024 № 8-рг О назначении советника Главы ЗАТО г. Зеленогорск на общественных началах Постановление Главы ЗАТО г. Зеленогорск от 19.02.2024 № 10-пг О назначении публичных слушаний по проекту решения Совета депутатов ЗАТО г. Зеленогорск «О внесении изменений в решение Совета депутатов ЗАТО г. Зеленогорска от 24.12.2018 № 6-27р «Об утверждении Правил землепользования и застройки г. Зеленогорска» Постановление Главы ЗАТО г. Зеленогорск от 29.12.2023 № 69-пг О прекращении деятельности советников Главы ЗАТО г. Зеленогорска на общественных началах Постановление Главы ЗАТО г. Зеленогорск от 24.01.2024 № 2-пг «О назначении публичных слушаний по проекту межевания территории применительно к территории, расположенной в границах функциональной зоны «Больничный городок» Постановление Главы ЗАТО г. Зеленогорск от 15.12.2023 № 65-пг «О назначении публичных слушаний по проекту решения Совета депутатов ЗАТО г. Зеленогорск «О внесении изменений и дополнений в Устав города Зеленогорска Красноярского края» Постановление Главы ЗАТО г. Зеленогорск от 09.11.2023 № 54-пг «О назначении публичных слушаний по проекту решения Совета депутатов ЗАТО г. Зеленогорск «О местном бюджете города Зеленогорска на 2024 год и плановый период 2025 – 2026 годов» Постановление Главы ЗАТО г. Зеленогорск от 08.11.2023 № 53-пг «Об утверждении Регламента работы административной комиссии города Зеленогорска» Постановление Главы ЗАТО г. Зеленогорск от 31.07.2023 № 38-пг «Об утверждении Положения о поощрениях Главы ЗАТО г. Зеленогорск» Постановление Главы ЗАТО г. Зеленогорск от 30.03.2023 № 14-пг «О назначении публичных слушаний по проекту решения Совета депутатов ЗАТО г. Зеленогорск «Об утверждении отчета об исполнении местного бюджета города Зеленогорска за 2022 год» Постановление Главы ЗАТО г. Зеленогорск от 27.02.2023 № 8-пг «Об утверждении Перечня должностей муниципальной службы в Администрации ЗАТО г. Зеленогорск, при замещении которых муниципальные служащие обязаны представлять сведения о своих доходах, об имуществе и обязательствах имущественного характера, а также сведения о доходах, об имуществе и обязательствах имущественного характера своих супруги (супруга) и несовершеннолетних детей» Распоряжение Главы ЗАТО г. Зеленогорска от 28.11.2022 № 51-рг «О внесении изменений в распоряжение Главы ЗАТО г. Зеленогорска от 15.03.2022 № 8-рг «О создании оперативного штаба по обеспечению устойчивости экономики города Зеленогорска Красноярского края» Постановление Главы ЗАТО г. Зеленогорск от 17.11.2022 № 66-пг О назначении публичных слушаний по проекту решения Совета депутатов ЗАТО г. Зеленогорск «О местном бюджете города Зеленогорска на 2023 год и плановый период 2024 – 2025 годов» Постановление Главы ЗАТО г. Зеленогорск от 04.10.2022 № 57-пг О признании утратившим силу постановления Главы ЗАТО г. Зеленогорска от 29.05.2015 № 15-пг «Об утверждении Положения и состава городской межведомственной комиссии по вопросам демографии, семьи и детства» Распоряжение Главы ЗАТО г. Зеленогорска от 09.09.2022 № 42-рг О согласовании кандидатуры председателя Общественной палаты города Зеленогорска Постановление Главы ЗАТО г. Зеленогорск от 27.06.2022 № 31-пг "Об утверждении 6 членов Общественной палаты города Зеленогорска от Главы ЗАТО г. Зеленогорск" Постановление Главы ЗАТО г. Зеленогорска от 05.05.2022 № 20-пг "О формировании нового состава Общественной палаты города Зеленогорска" Распоряжение Главы ЗАТО г. Зеленогорска от 05.05.2022 № 19-рг «О внесении изменений в распоряжение Главы ЗАТО г. Зеленогорска от 15.03.2022 № 8-рг «О создании оперативного штаба по обеспечению устойчивости экономики города Зеленогорска Красноярского края» Распоряжение Главы ЗАТО г. Зеленогорска от 31.03.2022 № 12-рг «О внесении изменений в распоряжение Главы ЗАТО г. Зеленогорска от 15.03.2022 № 8-рг «О создании оперативного штаба по обеспечению устойчивости экономики города Зеленогорска Красноярского края» Постановление Главы ЗАТО г. Зеленогорска от 24.03.2022 № 16-пг О внесении изменений в постановление Главы ЗАТО г. Зеленогорска от 05.03.2022 № 9-пг «О назначении публичных слушаний по проекту Устава города Зеленогорска Красноярского края» Постановление Главы ЗАТО г. Зеленогорска от 24.03.2022 № 15-пг «О назначении публичных слушаний по вопросу о предоставлении разрешения на условно разрешенный вид использования земельного участка № 112 по ул. Орловская» Постановление Главы ЗАТО г. Зеленогорска от 23.03.2022 № 13-пг «О назначении публичных слушаний по проекту решения Совета депутатов ЗАТО г. Зеленогорска «Об утверждении отчета об исполнении местного бюджета города Зеленогорска за 2021 год» Распоряжение Главы ЗАТО г. Зеленогорска от 22.03.2022 № 9-рг О внесении изменений в распоряжение Главы ЗАТО г. Зеленогорска от 15.03.2022 № 8-рг «О создании оперативного штаба по обеспечению устойчивости экономики города Зеленогорска Красноярского края» Распоряжение Главы ЗАТО г. Зеленогорска от 15.03.2022 № 8-рг О создании оперативного штаба по обеспечению устойчивости экономики города Зеленогорска Красноярского края Постановление Главы ЗАТО г. Зеленогорска от 19.11.2021 № 69-пг О назначении публичных слушаний по проекту решения Совета депутатов ЗАТО г. Зеленогорска «О местном бюджете города Зеленогорска на 2022 год и плановый период 2023 – 2024 годов» Постановление Главы ЗАТО г. Зеленогорска от 12.10.2021 № 61-пг ''О назначении публичных слушаний по проекту Устава города Зеленогорска Красноярского края'' Постановление Главы ЗАТО г. Зеленогорска от 06.08.2021 № 52-пг О назначении публичных слушаний по проекту Правил благоустройства территории города Зеленогорска Постановление Главы ЗАТО г. Зеленогорска от 16.07.2021 № 49-пг ''О назначении публичных слушаний по проекту планировки территории и проекту межевания территории в отношении территории микрорайона № 27 (1 и 2 очереди) города Зеленогорска'' Постановление Главы ЗАТО г. Зеленогорска от 16.07.2021 № 48-пг ''О назначении публичных слушаний по проекту планировки территории и проекту межевания территории в отношении территории микрорайона № 23 города Зеленогорска'' Постановление Главы ЗАТО г. Зеленогорска от 16.07.2021 № 47-пг ''О назначении публичных слушаний по проекту планировки территории и проекту межевания территории в отношении территории части квартала № 13 города Зеленогорска'' Постановление Главы ЗАТО г. Зеленогорска от 16.07.2021 № 46-пг ''О назначении публичных слушаний по проекту планировки территории и проекту межевания территории в отношении территории части квартала № 33 города Зеленогорска'' Постановление Главы ЗАТО г. Зеленогорска от 16.07.2021 № 45-пг ''О назначении публичных слушаний по проекту планировки территории и проекту межевания территории в отношении территории микрорайона № 20 города Зеленогорска'' Постановление Главы ЗАТО г. Зеленогорска от 16.07.2021 № 44-пг ''О назначении публичных слушаний по проекту планировки территории и проекту межевания территории в отношении территории части квартала № 12 города Зеленогорска'' Постановление Главы ЗАТО г. Зеленогорска от 16.07.2021 № 43-пг ''О назначении публичных слушаний по проекту планировки территории и проекту межевания территории в отношении территории квартала № 14-15 города Зеленогорска'' Постановление Главы ЗАТО г. Зеленогорска от 16.07.2021 № 42-пг ''О назначении публичных слушаний по проекту планировки территории и проекту межевания территории в отношении территории квартала № 8 города Зеленогорска'' Постановление Главы ЗАТО г. Зеленогорска от 16.07.2021 № 41-пг ''О назначении публичных слушаний по проекту планировки территории и проекту межевания территории в отношении территории квартала № 4 города Зеленогорска'' Постановление Главы ЗАТО г. Зеленогорска от 16.07.2021 № 40-пг ''О назначении публичных слушаний по проекту планировки территории и проекту межевания территории в отношении территории, ограниченной улицами Диктатуры Пролетариата, Советской Армии, Л.Толстого, Гоголя'' Постановление Главы ЗАТО г. Зеленогорска от 16.07.2021 № 39-пг ''О назначении публичных слушаний по проекту планировки территории и проекту межевания территории в отношении территории квартала № 3 города Зеленогорска'' Постановление Главы ЗАТО г. Зеленогорска от 16.07.2021 № 38-пг ''О назначении публичных слушаний по проекту планировки территории и проекту межевания территории в отношении территории, ограниченной улицами Диктатуры Пролетариата, Советской Армии, 8 Марта, Гоголя'' Постановление Главы ЗАТО г. Зеленогорска от 16.07.2021 № 37-пг ''О назначении публичных слушаний по проекту планировки территории и проекту межевания территории в отношении территории, ограниченной улицами Звездная, Центральная, Солнечная и Спортивная'' Постановление Главы ЗАТО г. Зеленогорска от 16.07.2021 № 36-пг ''О назначении публичных слушаний по проекту планировки территории и проекту межевания территории в отношении территории, ограниченной улицами Шолохова, Чапаева, Панфилова и земельным участком, имеющим кадастровый номер 24:59:0406003:1'' Постановление Главы ЗАТО г. Зеленогорска от 16.07.2021 № 35-пг ''О назначении публичных слушаний по проекту планировки территории и проекту межевания территории в отношении территории, ограниченной улицами Шолохова, Чапаева, Панфилова, включая территорию многоквартирных домов по ул. Чапаева, д. 13 и ул. Шолохова, д. 4, д. 6, д. 16'' Постановление Главы ЗАТО г. Зеленогорска от 16.07.2021 № 34-пг ''О назначении публичных слушаний по проекту планировки территории и проекту межевания территории в отношении территории, ограниченной улицами Диктатуры Пролетариата, Полевая, Юбилейная и переулком Малый'' Постановление Главы ЗАТО г. Зеленогорска от 16.07.2021 № 33-пг ''О назначении публичных слушаний по проекту планировки территории и проекту межевания территории в отношении территории, ограниченной улицами Удачная, Монтажников'' Постановление Главы ЗАТО г. Зеленогорска от 16.07.2021 № 32-пг ''О назначении публичных слушаний по проекту планировки территории и проекту межевания территории в отношении территории, ограниченной улицами Первостроителей, Удачная, Монтажников'' Постановление Главы ЗАТО г. Зеленогорска от 16.07.2021 № 31-пг ''О назначении публичных слушаний по проекту планировки территории и проекту межевания территории в отношении территории, ограниченной улицами Диктатуры Пролетариата, Советской Армии, Юбилейная, Полевая'' Постановление Главы ЗАТО г. Зеленогорска от 16.07.2021 № 30-пг О назначении публичных слушаний по проекту планировки территории и проекту межевания территории в отношении территории, ограниченной улицами Диктатуры Пролетариата, Советской Армии, Юбилейная, 8 Марта Постановление Главы ЗАТО г. Зеленогорска от 16.07.2021 № 29-пг ''О назначении публичных слушаний по проекту планировки территории и проекту межевания территории в отношении территории, ограниченной улицами Диктатуры Пролетариата, Л.Толстого, Гоголя, Полевая'' Постановление Главы ЗАТО г. Зеленогорска от 23.06.2021 № 26-пг Об утверждении Положения о поощрениях Главы ЗАТО г. Зеленогорска Распоряжение Главы ЗАТО г. Зеленогорска от 30.03.2021 № 488-р О проведении общественных обсуждений материалов по оценке воздействия на окружающую среду намечаемой деятельности по строительству III очереди полигона твердых бытовых отходов в г. Зеленогорске Распоряжение Главы ЗАТО г. Зеленогорска от 30.03.2021 № 489-р О создании конкурсной комиссии по проведению открытого конкурса по отбору управляющей организации для управления многоквартирными домами Постановление Главы ЗАТО г. Зеленогорска от 22.03.2021 № 10-пг О назначении публичных слушаний по проекту решения Совета депутатов ЗАТО г. Зеленогорска «Об утверждении отчета об исполнении местного бюджета города Зеленогорска за 2020 год» Постановление Главы ЗАТО г. Зеленогорска от 28.12.2020 № 59-пг О назначении публичных слушаний по проекту планировки территории и проекту межевания территории в отношении территории квартала № 14-15 города Зеленогорска Постановление Главы ЗАТО г. Зеленогорска от 28.12.2020 № 58-пг О назначении публичных слушаний по проекту планировки территории и проекту межевания территории в отношении территории части квартала № 13 города Зеленогорска Постановление Главы ЗАТО г. Зеленогорска от 28.12.2020 № 57-пг О назначении публичных слушаний по проекту планировки территории и проекту межевания территории в отношении территории квартала № 8 города Зеленогорска Постановление Главы ЗАТО г. Зеленогорска от 28.12.2020 № 56-пг О назначении публичных слушаний по проекту планировки территории и проекту межевания территории в отношении территории, ограниченной улицами Диктатуры Пролетариата, Советской Армии, 8 Марта, Гоголя Постановление Главы ЗАТО г. Зеленогорска от 28.12.2020 № 55-пг О назначении публичных слушаний по проекту планировки территории и проекту межевания территории в отношении территории микрорайона № 20 города Зеленогорска Постановление Главы ЗАТО г. Зеленогорска от 28.12.2020 № 54-пг О назначении публичных слушаний по проекту планировки территории и проекту межевания территории в отношении территории микрорайона № 27 (1 и 2 очереди) города Зеленогорска Постановление Главы ЗАТО г. Зеленогорска от 28.12.2020 № 53-пг О назначении публичных слушаний по проекту планировки территории и проекту межевания территории в отношении территории микрорайона № 23 города Зеленогорска Постановление Главы ЗАТО г. Зеленогорска от 28.12.2020 № 51-пг О назначении публичных слушаний по проекту планировки территории и проекту межевания территории в отношении территории части квартала № 33 города Зеленогорска Постановление Главы ЗАТО г. Зеленогорска от 28.12.2020 № 50-пг О назначении публичных слушаний по проекту планировки территории и проекту межевания территории в отношении территории части квартала № 12 города Зеленогорска Постановление Главы ЗАТО г. Зеленогорска от 28.12.2020 № 49-пг О назначении публичных слушаний по проекту планировки территории и проекту межевания территории в отношении территории квартала № 4 города Зеленогорска Постановление Главы ЗАТО г. Зеленогорска от 28.12.2020 № 52-пг О назначении публичных слушаний по проекту планировки территории и проекту межевания территории в отношении территории, ограниченной улицами Диктатуры Пролетариата, Советской Армии, Л.Толстого, Гоголя Постановление Главы ЗАТО г. Зеленогорска от 28.12.2020 № 48-пг О назначении публичных слушаний по проекту планировки территории и проекту межевания территории в отношении территории квартала № 3 города Зеленогорска Постановление Главы ЗАТО г. Зеленогорска от 24.11.2020 № 34-пг О назначении публичных слушаний по проекту решения Совета депутатов ЗАТО г. Зеленогорска «О местном бюджете города Зеленогорска на 2021 год и плановый период 2022 – 2023 годов» Постановление Главы ЗАТО г. Зеленогорска от 13.10.2020 № 33-пг Об утверждении Положения о порядке уведомления представителя нанимателя (работодателя) муниципальными служащими Администрации ЗАТО г. Зеленогорска о возникшем конфликте интересов или о возможности его возникновения Постановление Главы ЗАТО г. Зеленогорска от 13.10.2020 № 32-пг Об утверждении Положения о порядке уведомления представителя нанимателя (работодателя) о фактах обращения в целях склонения муниципального служащего Администрации ЗАТО г. Зеленогорска к совершению коррупционных правонарушений Постановление Главы ЗАТО г. Зеленогорска от 13.10.2020 № 31-пг Об утверждении Перечня должностей муниципальной службы в Администрации ЗАТО г. Зеленогорска, при замещении которых муниципальные служащие обязаны представлять сведения о своих доходах, об имуществе и обязательствах имущественного характера, а также сведения о доходах, об имуществе и обязательствах имущественного характера своих супруги (супруга) и несовершеннолетних детей Постановление Главы ЗАТО г. Зеленогорска от 04.09.2020 № 22-пг О назначении публичных слушаний по проекту решения Совета депутатов ЗАТО г. Зеленогорска «Об утверждении отчета об исполнении местного бюджета города Зеленогорска за 2019 год» Постановление Главы ЗАТО г. Зеленогорска от 16.07.2020 № 19-пг О внесении изменений в постановление Главы ЗАТО г. Зеленогорска от 03.07.2020 № 17-пг «Об утверждении 6 членов Общественной палаты города Зеленогорска от Главы ЗАТО г. Зеленогорска» Распоряжение Главы ЗАТО г. Зеленогорска от 16.07.2020 № 1140-рг О согласовании кандидатуры председателя Общественной палаты города Зеленогорска Постановление Главы ЗАТО г. Зеленогорска от 03.07.2020 № 17-пг Об утверждении 6 членов Общественной палаты города Зеленогорска от Главы ЗАТО г. Зеленогорска Постановление Главы ЗАТО г. Зеленогорска от 01.06.2020 № 13-пг Об отмене постановления Главы ЗАТО г. Зеленогорска от 14.05.2020 № 11-пг «О назначении публичных слушаний по проекту решения Совета депутатов ЗАТО г. Зеленогорска «Об утверждении отчета об исполнении местного бюджета города Зеленогорска за 2019 год» Постановление Главы ЗАТО г. Зеленогорска от 14.05.2020 № 11-пг О назначении публичных слушаний по проекту решения Совета депутатов ЗАТО г. Зеленогорска «Об утверждении отчета об исполнении местного бюджета города Зеленогорска за 2019 год» Постановление Главы ЗАТО г. Зеленогорска от 08.05.2020 № 10-пг О формировании нового состава Общественной палаты города Зеленогорска Постановление Главы ЗАТО г. Зеленогорска от 09.04.2020 № 8-пг Об утверждении Перечня должностей муниципальной службы, при замещении которых муниципальные служащие обязаны представлять сведения о своих доходах, об имуществе и обязательствах имущественного характера, а также сведения о доходах, об имуществе и обязательствах имущественного характера своих супруги (супруга) и несовершеннолетних детей Постановление Главы ЗАТО г. Зеленогорска от 23.01.2020 № 3-пг О признании утратившим силу постановления Главы ЗАТО г. Зеленогорска от 21.12.2018 № 72-пг «О назначении советника Главы ЗАТО г. Зеленогорска на общественных началах» Распоряжение Главы ЗАТО г. Зеленогорска от 21.01.2019 № 70-рг О прекращении деятельности советника Главы ЗАТО г. Зеленогорска на общественных началах Постановление Главы ЗАТО г. Зеленогорска от 18.11.2019 № 52-пг О назначении публичных слушаний по проекту решения Совета депутатов ЗАТО г. Зеленогорска «О местном бюджете города Зеленогорска на 2020 год и плановый период 2021 – 2022 годов» Постановление Главы ЗАТО г. Зеленогорска от 22.10.2019 № 47-пг О назначении публичных слушаний по проекту планировки территории и проекту межевания территории кварталов № 9 и № 12, ограниченных улицами Западная, Центральная, Звездная и Спортивная Постановление Главы ЗАТО г. Зеленогорска от 22.10.2019 № 46-пг О назначении публичных слушаний по проекту планировки территории и проекту межевания территории квартала № 9, ограниченной улицами Юбилейная, Удачная, Первостроителей, Монтажников Постановление Главы ЗАТО г. Зеленогорска от 22.10.2019 № 45-пг О назначении публичных слушаний по проекту планировки территории и проекту межевания территории квартала № 2 города Зеленогорска Постановление Главы ЗАТО г. Зеленогорска от 22.10.2019 № 44-пг О назначении публичных слушаний по проекту планировки территории и проекту межевания территории микрорайона № 1-17 города Зеленогорска Постановление Главы ЗАТО г. Зеленогорска от 22.10.2019 № 43-пг О назначении публичных слушаний по проекту планировки территории и проекту межевания территории микрорайона № 18 города Зеленогорска Постановление Главы ЗАТО г. Зеленогорска от 22.10.2019 № 42-пг О назначении публичных слушаний по проекту планировки территории и проекту межевания территории микрорайона № 27 (3 очередь) города Зеленогорска Постановление Главы ЗАТО г. Зеленогорска от 27.09.2019 № 35-пг О формировании нового состава Общественной палаты города Зеленогорска Постановление Главы ЗАТО г. Зеленогорска от 22.08.2019 № 30-пг О назначении публичных слушаний по проекту планировки и проекту межевания территории в районе земельного участка, предоставленного для комплексного освоения в целях жилищного строительства в районе севернее здания по ул. Комсомольская, 21 Постановление Главы ЗАТО г. Зеленогорска от 24.06.2019 № 22-пг Об утверждении Положения о советнике Главы ЗАТО г. Зеленогорска на общественных началах Постановление Главы ЗАТО г. Зеленогорска от 03.06.2019 № 20-пг О поощрении Главы ЗАТО г. Зеленогорска Постановление Главы ЗАТО г. Зеленогорска от 27.05.2019 № 19-пг О поощрениях Главы ЗАТО г. Зеленогорска Постановление Главы ЗАТО г. Зеленогорска от 11.06.2019 № 21-пг О назначении советника Главы ЗАТО г. Зеленогорска на общественных началах Постановление Главы ЗАТО г. Зеленогорска от 27.05.2019 № 18-пг О поощрении Главы ЗАТО г. Зеленогорска Постановление Главы ЗАТО г. Зеленогорска от 19.04.2019 № 17-пг О назначении публичных слушаний по проекту планировки территории и проекту межевания территории микрорайона № 22 города Зеленогорска Постановление Главы ЗАТО г. Зеленогорска от 19.04.2019 № 16-пг О назначении публичных слушаний по проекту планировки территории и проекту межевания территории микрорайона № 21 города Зеленогорска Постановление Главы ЗАТО г. Зеленогорска от 19.04.2019 № 15-пг О назначении публичных слушаний по проекту планировки территории и проекту межевания территории микрорайона № 19 города Зеленогорска Постановление Главы ЗАТО г. Зеленогорска от 19.04.2019 № 14-пг О назначении публичных слушаний по проекту планировки территории и проекту межевания территории микрорайона № 16 города Зеленогорска Постановление Главы ЗАТО г. Зеленогорска от 27.03.2019 № 8-пг О назначении публичных слушаний по проекту решения Совета депутатов ЗАТО г. Зеленогорска «Об утверждении отчета об исполнении местного бюджета города Зеленогорска за 2018 год» Постановление Главы ЗАТО г. Зеленогорска от 19.03.2019 № 5-пг О назначении публичных слушаний по проекту решения Совета депутатов ЗАТО г. Зеленогорска «О внесении изменений и дополнений в Устав города Зеленогорска Красноярского края» Постановление Главы ЗАТО г. Зеленогорска от 04.03.2019 № 3-пг О признании утратившими силу некоторых постановлений Главы ЗАТО г. Зеленогорска Постановление Главы ЗАТО г. Зеленогорска от 21.01.2019 № 2-пг Об утверждении Регламента работы административной комиссии г. Зеленогорска Постановление Главы ЗАТО г. Зеленогорска от 28.12.2018 № 74-пг О прекращении деятельности советников Главы ЗАТО г. Зеленогорска на общественных началах Постановление Главы ЗАТО г. Зеленогорска от 21.12.2018 № 72-пг О назначении советника Главы ЗАТО г. Зеленогорска на общественных началах Постановление Главы ЗАТО г. Зеленогорска от 02.11.2018 № 62-пг О назначении публичных слушаний по проекту решения Совета депутатов ЗАТО г. Зеленогорска «О местном бюджете города Зеленогорска на 2019 год и плановый период 2020 – 2021 годов» Постановление Главы ЗАТО г. Зеленогорска от 15.10.2018 № 55-пг О назначении публичных слушаний по вопросу о предоставлении разрешения на отклонение от предельных параметров разрешенного строительства, реконструкции объектов капитального строительства на земельном участке по адресу: ул. Первостроителей, д. 54 Постановление Главы ЗАТО г. Зеленогорска от 15.10.2018 № 54-пг О назначении публичных слушаний по вопросу о предоставлении разрешения на отклонение от предельных параметров разрешенного строительства, реконструкции объектов капитального строительства на земельном участке по адресу: ул. Майское шоссе, территория бывшего ЗЖБИ-2 Постановление Главы ЗАТО г. Зеленогорска от 15.10.2018 № 53-пг О назначении публичных слушаний по вопросу о предоставлении разрешения на отклонение от предельных параметров разрешенного строительства, реконструкции объектов капитального строительства на земельном участке по адресу: ул. Манежная, участок N 7Д Постановление Главы ЗАТО г. Зеленогорска от 15.10.2018 № 52-пг О назначении публичных слушаний по вопросу о предоставлении разрешения на отклонение от предельных параметров разрешенного строительства, реконструкции объектов капитального строительства на земельном участке по адресу: в районе здания по ул. Майское шоссе, 12А Постановление Главы ЗАТО г. Зеленогорска от 08.10.2018 № 49-пг О внесении изменений в постановление Главы ЗАТО г. Зеленогорска от 29.04.2015 № 10-пг «Об утверждении Положения и состава межведомственной комиссии по профилактике правонарушений на территории г. Зеленогорска» Постановление Главы ЗАТО г. Зеленогорска от 04.10.2018 № 48-пг О внесении изменений в постановление Главы ЗАТО г. Зеленогорска от 01.03.2016 № 5-пг «Об утверждении Положения и состава межведомственной комиссии по обследованию мест массового пребывания людей на территории города Зеленогорска» Постановление Главы ЗАТО г. Зеленогорска от 31.08.2018 № 42-пг О назначении советника Главы ЗАТО г. Зеленогорска на общественных началах Постановление Главы ЗАТО г. Зеленогорска от 31.08.2018 № 41-пг О назначении советника Главы ЗАТО г. Зеленогорска на общественных началах Постановление Главы ЗАТО г. Зеленогорска от 09.07.2018 № 28-пг О признании утратившими силу некоторых постановлений Главы ЗАТО г. Зеленогорска, регулирующих деятельность помощников Главы ЗАТО г. Зеленогорска Постановление Главы ЗАТО г. Зеленогорска от 06.07.2018 № 27-пг О назначении публичных слушаний по проекту решения Совета депутатов ЗАТО г. Зеленогорска «Об утверждении Стратегии социально-экономического развития г. Зеленогорска на период до 2030 года» Постановление Главы ЗАТО г. Зеленогорска от 15.03.2018 № 3-пг О назначении публичных слушаний по проекту решения Совета депутатов ЗАТО г. Зеленогорска «Об утверждении отчета об исполнении местного бюджета города Зеленогорска за 2017 год» Распоряжение Главы ЗАТО г. Зеленогорска от 23.01.2018 № 3-рг Об утверждении Плана работы Совета депутатов ЗАТО г. Зеленогорска на первое полугодие 2018 года Распоряжение Главы ЗАТО г. Зеленогорска от 21.12.2017 № 48-рг О согласовании кандидатуры председателя Общественной палаты города Зеленогорска Постановление Главы ЗАТО г. Зеленогорска от 14.11.2017 № 43-пг Об утверждении 6 членов Общественной палаты города Зеленогорска от Главы ЗАТО г. Зеленогорска Постановление Главы ЗАТО г. Зеленогорска от 13.11.2017 № 42-пг О назначении публичных слушаний по проекту решения Совета депутатов ЗАТО г. Зеленогорска «Об утверждении Правил благоустройства территории города Зеленогорска» Постановление Главы ЗАТО г. Зеленогорска от 09.11.2017 № 41-пг О назначении публичных слушаний по проекту решения Совета депутатов ЗАТО г. Зеленогорска «О местном бюджете города Зеленогорска на 2018 год и плановый период 2019 – 2020 годов» Постановление Главы ЗАТО г. Зеленогорска от 31.10.2017 № 40-пг О назначении публичных слушаний по проекту решения Совета депутатов ЗАТО г. Зеленогорска «Об утверждении Правил благоустройства территории города Зеленогорска» Постановление Главы ЗАТО г. Зеленогорска от 16.10.2017 № 36-пг О внесении изменений в постановление Главы ЗАТО г. Зеленогорска от 01.03.2016 № 5-пг «Об утверждении Положения и состава межведомственной комиссии по обследованию мест массового пребывания людей на территории города Зеленогорска» Постановление Главы ЗАТО г. Зеленогорска от 11.10.2017 № 35-пг О внесении изменений в постановление Главы ЗАТО г. Зеленогорска от 29.04.2015 № 10-пг «Об утверждении Положения и состава межведомственной комиссии по профилактике правонарушений на территории г. Зеленогорска» Постановление Главы ЗАТО г. Зеленогорска от 15.09.2017 № 32-пг О формировании нового состава Общественной палаты города Зеленогорска Постановление Главы ЗАТО г. Зеленогорска от 16.08.2017 № 30-пг О проведении муниципального этапа всероссийского творческого конкурса «Слава Созидателям!» в 2017 - 2018 годах Постановление Главы ЗАТО г. Зеленогорска от 12.07.2017 № 25-пг О внесении изменений в постановление Главы ЗАТО г. Зеленогорска от 29.04.2015 № 10-пг «Об утверждении Положения и состава межведомственной комиссии по профилактике правонарушений на территории г. Зеленогорска» Постановление Главы ЗАТО г. Зеленогорска от 09.06.2017 № 24-пг О признании утратившим силу постановления Главы ЗАТО г. Зеленогорска от 01.03.2017 № 6-пг «Об установлении должности муниципальной службы и квалификационных требований для ее замещения» Постановление Главы ЗАТО г. Зеленогорска от 15.05.2017 № 17-пг О назначении публичных слушаний по проекту решения Совета депутатов ЗАТО г. Зеленогорска «О внесении изменений и дополнений в Устав города Зеленогорска» Постановление Главы ЗАТО г. Зеленогорска от 18.04.2017 № 16-пг О прекращении деятельности советника Главы ЗАТО г. Зеленогорска на общественных началах Постановление Главы ЗАТО г. Зеленогорска от 10.04.2017 № 14-пг Об Управляющем совете по реализации программы развития моногорода Зеленогорска Постановление Главы ЗАТО г. Зеленогорска от 07.04.2017 № 13-пг О внесении изменений в постановление Главы ЗАТО г. Зеленогорска от 29.04.2015 № 10-пг «Об утверждении Положения и состава межведомственной комиссии по профилактике правонарушений на территории г. Зеленогорска» Постановление Главы ЗАТО г. Зеленогорска от 30.03.2017 № 11-пг О назначении публичных слушаний по проекту решения Совета депутатов ЗАТО г. Зеленогорска «Об утверждении отчета об исполнении местного бюджета города Зеленогорска за 2016 год» Постановление Главы ЗАТО г. Зеленогорска от 01.03.2017 № 6-пг Об установлении должности муниципальной службы и квалификационных требований для ее замещения № 8-рг от 08.06.2015 "Об утверждении Положения о порядке и размерах выплаты надбавок за особые условия муниципальной службы, ежемесячного денежного поощрения и единовременной выплаты к отпуску муниципальным служащим Совета депутатов ЗАТО г. Зеленогорска" № 6-рг от 28.02.2017 Об утверждении Плана работы Совета депутатов ЗАТО г. Зеленогорска на первое полугодие 2017 года № 4-пг от 13.02.2017 Об объявлении траура № 1-пг от 02.02.2017 Об утверждении Регламента работы административной комиссии г. Зеленогорска № 51-пг от 21.11.2016 О назначении публичных слушаний по проекту решения Совета депутатов ЗАТО г. Зеленогорска «О местном бюджете города Зеленогорска на 2017 год и плановый период 2018 – 2019 годов» № 50-пг от 28.10.2016 О внесении изменений в постановление Главы ЗАТО г. Зеленогорска от 29.04.2015 № 10-пг «Об утверждении Положения и состава межведомственной комиссии по профилактике правонарушений на территории г. Зеленогорска» № 41-пг от 16.09.2016 О назначении публичных слушаний по проекту решения Совета депутатов ЗАТО г. Зеленогорска «О внесении изменений и дополнений в Устав города Зеленогорска» № 40-пг от 09.09.2016 Об утверждении состава попечительского совета первого этапа общероссийского конкурса «Слава созидателям!» № 39-пг от 06.09.2016 О признании утратившим силу постановления Главы ЗАТО г. Зеленогорска от 06.07.2015 № 17-пг «О назначении советника Главы ЗАТО г. Зеленогорска на общественных началах» № 33-пг от 19.07.2016 О внесении изменений в постановление Главы ЗАТО г. Зеленогорска от 29.04.2015 № 10-пг «Об утверждении Положения и состава межведомственной комиссии по профилактике правонарушений на территории г. Зеленогорска» № 21-пг от 16.05.2016 О назначении публичных слушаний по проекту решения Совета депутатов ЗАТО г. Зеленогорска «О внесении изменений и дополнений в Устав города Зеленогорска» № 19-пг от 20.04.2016 О внесении изменений в постановление Главы ЗАТО г. Зеленогорска от 24.12.2015 № 48-пг «О подготовке праздничных мероприятий, посвященных 60-летию образования города Зеленогорска» № 15-пг от 14.04.2016 О признании утратившим силу постановления Главы ЗАТО г. Зеленогорска от 09.07.2015 № 19-пг «Об утверждении Порядка размещения на сайте Администрации ЗАТО г. Зеленогорска и предоставления для опубликования сведений, представляемых лицами, замещающими муниципальные должности на постоянной основе, помощниками Главы ЗАТО г. Зеленогорска» № 16-пг от 14.04.2016 О внесении изменений в постановление Главы ЗАТО г. Зеленогорска от 29.04.2015 № 10-пг «Об утверждении Положения и состава межведомственной комиссии по профилактике правонарушений на территории г. Зеленогорска» № 14-пг от 12.04.2016 О назначении публичных слушаний по проекту решения Совета депутатов ЗАТО г. Зеленогорска «Об утверждении Правил землепользования и застройки г. Зеленогорска» № 8-пг от 15.03.2016 Об утверждении Положения о порядке уведомления представителя нанимателя (работодателя) помощниками Главы ЗАТО г. Зеленогорска о возникшем конфликте интересов или о возможности его возникновения № 9-пг от 15.03.2016 Об утверждении Положения о порядке уведомления представителя нанимателя (работодателя) о фактах обращения в целях склонения помощников Главы ЗАТО г. Зеленогорска к совершению коррупционных правонарушений № 10-пг от 15.03.2016 О назначении публичных слушаний по проекту решения Совета депутатов ЗАТО г. Зеленогорска «Об утверждении отчета об исполнении местного бюджета города Зеленогорска за 2015 год» № 5-пг от 01.03.2016 Об утверждении Положения и состава межведомственной комиссии по обследованию мест массового пребывания людей на территории города Зеленогорска № 4-пг от 01.03.2016 Об утверждении Концепции празднования 60-летия города Зеленогорска и Плана подготовки и проведения праздничных мероприятий, посвященных 60-летию образования города Зеленогорска № 6-пг от 02.03.2016 О внесении изменений в постановление Главы ЗАТО г. Зеленогорска от 24.12.2015 № 48-пг «О подготовке праздничных мероприятий, посвященных 60-летию образования города Зеленогорска» № 5-рг от 09.02.2016 Об улучшении санитарно-эпидемиологической обстановки и выполнении требований санитарного законодательства в связи с эпидемическим подъемом заболеваемости ОРВИ и гриппа № 48-пг от 24.12.2015 О подготовке праздничных мероприятий, посвященных 60-летию образования города Зеленогорска № 44-пг от 01.12.2015 О мероприятиях по подготовке и участию детей г. Зеленогорска в Новогодней ёлке Губернатора Красноярского края № 27-рг от 26.11.2015 О согласовании кандидатуры председателя Общественной палаты города Зеленогорска № 40-пг от 12.11.2015 О назначении публичных слушаний по проекту решения Совета депутатов ЗАТО г. Зеленогорска «О местном бюджете города Зеленогорска на 2016 год и на плановый период 2017-2018 годов» № 37-пг от 12.10.2015 О назначении советника Главы ЗАТО г. Зеленогорска на общественных началах № 35-пг от 12.10.2015 Об утверждении 6 членов Общественной палаты города Зеленогорска от Главы ЗАТО г. Зеленогорска № 28-пг от 10.09.2015 "О назначении советника Главы ЗАТО г. Зеленогорска на общественных началах" № 27-пг от 10.09.2015 "О внесении изменений в Положение о поощрениях Главы ЗАТО г. Зеленогорска, утвержденное постановлением Главы ЗАТО г. Зеленогорска от 05.06.2015 № 16-пг "Об утверждении Положения о поощрениях Главы ЗАТО г. Зеленогорска" № 22-пг от 18.08.2015 "О создании комиссии по молодежной политике города Зеленогорска" № 23-пг от 18.08.2015 "О формировании состава Общественной палаты города Зеленогорска" № 19-пг от 09.07.2015 "Об утверждении Порядка размещения на сайте Администрации ЗАТО г. Зеленогорска и предоставления для опубликования сведений, представляемых лицами, замещающими муниципальные должности на постоянной основе, помощниками Главы ЗАТО г. Зеленогорска" № 18-пг от 08.07.2015 "О внесении изменений в Положение о советнике Главы ЗАТО г. Зеленогорска на общественных началах, утвержденное постановлением Главы ЗАТО г. Зеленогорска от 14.01.2015 № 1-пг" № 17-пг от 06.07.2015 "О назначении советника Главы ЗАТО г. Зеленогорска на общественных началах " № 16-пг от 05.06.2015 "Об утверждении Положения о поощрениях Главы ЗАТО г. Зеленогорска" № 15-пг от 29.05.2015 "Об утверждении Положения и состава городской межведомственной комиссии по вопросам демографии, семьи и детства" № 14-пг от29.05.2015 "О назначении публичных слушаний по материалам обоснования лицензии на осуществление деятельности в области использования атомной энергии" № 12-пг от 06.05.2015 "О назначении публичных слушаний по материалам обоснования лицензии на осуществление деятельности в области использования атомной энергии" № 11-пг от 30.04.2015 "Об установлении должности муниципальной службы и квалификационных требований, необходимых для ее замещения" № 10-пг от 29.04.2015 "Об утверждении Положения и состава межведомственной комиссии по профилактике правонарушений на территории г. Зеленогорска" № 8-пг от 03.04.2015 "О прекращении деятельности советника Главы ЗАТО г. Зеленогорска на общественных началах" № 5-пг от 16.02.2015 "О назначении публичных слушаний по проекту решения Совета депутатов ЗАТО г. Зеленогорска «О внесении изменений и дополнений в Устав города Зеленогорска» № 3-пг от 02.02.2015 "О назначении публичных слушаний по проекту решения Совета депутатов ЗАТО г. Зеленогорска «О внесении изменений и дополнений в Устав города Зеленогорска» № 2-пг от 28.01.2015 "О назначении советника Главы ЗАТО г. Зеленогорска на общественных началах" № 1-пг от 14.01.2015 "Об утверждении Положения о советнике Главы ЗАТО г. Зеленогорска на общественных началах" № 5-пг "О назначении публичных слушаний по проекту решения Совета депутатов ЗАТО г. Зеленогорска "О местном бюджете города Зеленогорска на 2015 год и на плановый период 2016-2017 годов" № 4-пг "О назначении публичных слушаний по вопросу о предоставлении разрешения на условно разрешенный вид использования земельного участка - «для установки малой архитектурной формы – Поклонного креста» в районе здания № 45 по ул. Рабочая" № 3-пг "О назначении публичных слушаний по проекту решения Совета депутатов ЗАТО г. Зеленогорска "Об утверждении отчета об исполнении местного бюджета города Зеленогорска за 2013 год" № 2-пг "О назначении публичных слушаний по проекту решения Совета депутатов ЗАТО г. Зеленогорска «О внесении изменений и дополнений в Устав города Зеленогорска" № 1-пг "Об утверждении Порядка размещения на сайте Администрации ЗАТО г. Зеленогорска и предоставления для опубликования сведений, представляемых лицами, замещающими муниципальные должности на постоянной основе" № 7-пг "О внесении изменений в постановление главы ЗАТО г.Зеленогорска от 15.11.2013 № 5-пг «О назначении публичных слушаний по проекту решения Совета депутатов ЗАТО г. Зеленогорска «О местном бюджете города Зеленогорска на 2014 год и на плановый период 2015 и 2016 годов" № 6-пг "О назначении публичных слушаний по вопросу планируемого размещения цеха горячего цинкования металлоконструкций на территории ОАО «Уяржелезобетон» в г. Уяре Красноярского края" № 5пг "О назначении публичных слушаний по проекту решения Совета депутатов ЗАТО г. Зеленогорска «О местном бюджете города Зеленогорска на 2014 год и на плановый период 2015 и 2016 годов" № 4-пг "О назначении публичных слушаний по проекту «Схемы теплоснабжения города Зеленогорска" № 3-пг "О назначении публичных слушаний по проектной документации «Рекультивация земельного участка, ранее используемого под полигон твердых промышленных отходов» (Филиал ОАО «ОГК-2» - Красноярская ГРЭС-2)" № 2-пг " О назначении публичных слушаний по проекту решения Совета депутатов ЗАТО г. Зеленогорска «Об утверждении отчета об исполнении местного бюджета города Зеленогорска за 2012 год" № 1-пг "О внес. изм. в Порядок размещ. на сайте Админ.ЗАТО г. Зеленогорска и предост. для опубл. свед. о доходах, об имуществе и обяз. имущ. характера лиц, замещающих муницип.должности, утв. постановл. Главы ЗАТО г. Зеленогорска от 15.08.2012 № 10-пг" № 16-пг "О назначении публичных слушаний по проекту решения Совета депутатов ЗАТО г.Зеленогорска «О местном бюджете города Зеленогорска на 2013 год и на плановый период 2014 и 2015 годов" № 15-пг "О назначении публичных слушаний по проекту решения Совета депутатов ЗАТО г. Зеленогорска «О внесении изменений и дополнений в Устав города Зеленогорска" № 14-пг "О назначении публичных слушаний по вопросу о предоставлении разрешения на условно разрешенный вид использования земельного участка - «для установки временного сооружения - шиномонтажной мастерской» в районе здания № 78А по ул. Набережная" № 13-пг"О назначении публичных слушаний по вопросу о предоставлении разрешения на условно разрешенный вид использования земельного участка - «для установки временного сооружения - торгового павильона» в районе здания № 11 по ул. Мира" № 12-пг "О назначении публ. слушаний по вопросу о предоставлении разреш. на условно разрешенный вид использ. земельного участка с кадастровым номером 24:59:0406003:24 - «для эксплуатации зданий овощехранилищ» в районе здания № 3/19 по ул. Зерновая" № 11-пг "О назначении публичных слушаний по проекту планировки территории и проекту межевания территории в границах земельного участка, предоставленного для его комплексного освоения в целях жилищного строительства в районе ул.Юбилейная" № 10-пг "Об утверждении Порядка размещения на сайте Администрации ЗАТО г.Зеленогорска и предоставления для опубликования сведений о доходах, об имуществе и обязательствах имущественного характера лиц, замещающих муниципальные должности" № 9-пг "О назначении публичных слушаний по проекту планировки территории и проекту межевания территории в границах земельного участка, предоставленного Кушнерову Э.А. для его комплексного освоения в целях жилищного строительства в районе ул. Солнечная" № 8-пг "О назначении публичных слушаний по сооружению на ОАО "ПО ЭХЗ" схемы наработки обогащенного уранового продукта и получения из него закиси-окиси урана" № 7-пг "О назначении публичных слушаний по вопросу о предоставлении разрешения на условно разрешенный вид использования земельного участка - «для установки временного коммерческого сооружения: модульная конструкция для установки банковского оборудования» 6-пг "О назначении публичных слушаний по проекту решения Совета депутатов ЗАТО г. Зеленогорска "Об утверждении отчета об исполнении местного бюджета города Зеленогорска за 2011 год" № 5-пг "О назначении публичных слушаний по проекту планировки территории и проекту межевания территории в границах земельного участка, предоставленного Суховарову Д.А. для его комплексного освоения в целях жилищного строительства в квартале № 7... № 3-пг "О назначении публичных слушаний по проекту планировки территории и проекту межевания территории в границах земельного участка, предназначенного для его комплексного освоения в целях жилищного строительства в районе ул. Некрасова" № 2-пг "О назначении публичных слушаний по проекту планировки территории и проекту межевания территории в границах земельного участка, предназначенного для его комплексного освоения в целях жилищного строительства в районе ул. Юбилейная" № 1-пг "О внесении изменения в Регламент работы административной комиссии г. Зеленогорска, утвержденный постановлением главы ЗАТО г. Зеленогорска от 08.04.2011 № 1-пг" № 565-п "Об утверждении норматива субсидирования на реализацию газеты, выпускаемой МУП "РГ "Панорама" № 4-пг "О назначении публичных слушаний по проекту решения Совета депутатов ЗАТО г.Зеленогорска "О местном бюджете города Зеленогорска на 2012 год и на плановый период 2013 и 2014 годов" № 430-п "О внесении изменений в Положение о проведении аттестации руководителей муниципальных образовательных учреждений, утвержденное постановление Администрации ЗАТО г. Зеленогорска от 12.07.2011г. № 248-п" № 3-пг "О назначении публичных слушаний по проекту решения Совета депутатов ЗАТО г. Зеленогорска "О внесении изменений и дополнений в Устав города Зеленогорска" № 288-п "Об утверждении норматива субсидирования на реализацию газеты, выпускаемой МУП "РГ "Панорама" № 2-пг от 13.04.2011г."О назначении публичных слушаний по проекту решения Совета депутатов ЗАТО г. Зеленогорска «Об утверждении отчета об исполнении местного бюджета города Зеленогорска за 2010 год" № 1-пг от 08.04.2011г. "Об утверждении Регламента административной комиссии г. Зеленогорска"